![]() |
日 付 | 11月30日 |
|---|---|
お名前 |
|
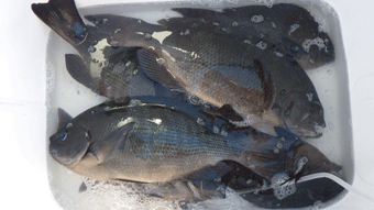
大きなタイを釣られてます!! |
![]() |
日 付 | 11月30日 |
|---|---|
お名前 |
|
大きなコロダイを釣られてます!! |
![]() |
日 付 | 11月30日 |
|---|---|
お名前 |
|
大きな40cmのクロを頭に釣られてます!! |
![]() |
日 付 | 11月30日 |
|---|---|
お名前 |
|
大きな45cmのクロを頭に釣られてます!! |
![]() |
日 付 | 11月30日 |
|---|---|
お名前 |
|
すみません。 2枚も上げてしまいました。 |
![]() |
日 付 | 11月30日 |
|---|---|
お名前 |
|
大きな43cmのクロを頭に釣られてます!! 大きなアカハタも釣られてます!! |
![]() |
日 付 | 11月30日 |
|---|---|
お名前 |
|
大きな44cmのクロを頭に沢山釣られてます!! |
![]() |
日 付 | 11月30日 |
|---|---|
お名前 |
|
大きな45cmのクロを頭に釣られてます!! |
![]() |
日 付 | 11月29日 |
|---|---|
お名前 |
|
大きな40cmのクロを頭に沢山釣られてます!! |
![]() |
日 付 | 11月29日 |
|---|---|
お名前 |
|
大きな44cmのクロを頭に釣られてます!! |
![]() |
日 付 | 11月29日 |
|---|---|
お名前 |
|
大きな42cmのクロを頭に沢山釣られてます!! |
![]() |
日 付 | 11月29日 |
|---|---|
お名前 |
|
大きな44cmのクロを頭に沢山釣られてます!! |
![]() |
日 付 | 11月29日 |
|---|---|
お名前 |
|
大きな44cmのクロを頭に沢山釣られてます!! |
![]() |
日 付 | 11月29日 |
|---|---|
お名前 |
|
大きな42cmのクロを頭に沢山釣られてます!! |
![]() |
日 付 | 11月29日 |
|---|---|
お名前 |
|
大きな46cmのクロを頭に沢山釣られてます!! 40cm前後ばかり釣られてます!! |
![]() |
日 付 | 11月28日 |
|---|---|
お名前 |
|
強風の中大きな40cmのクロを頭に沢山釣られてます!! |
![]() |
日 付 | 11月24日 |
|---|---|
お名前 |
|
大きな42cmのアカハタを頭に釣られてます!! キジハタも釣られてます!! |
![]() |
日 付 | 11月24日 |
|---|---|
お名前 |
|
大きな43cmのクロを頭に釣られてます!! アカハタも釣られてます!! |
![]() |
日 付 | 11月24日 |
|---|---|
お名前 |
|
特大でメタボのイシガキダイを4枚釣られてます!! |
![]() |
日 付 | 11月24日 |
|---|---|
お名前 |
|
大きな40cmのオナガを頭に沢山釣られてます!! |
![]() |
日 付 | 11月24日 |
|---|---|
お名前 |
|
特大の80cm超えのスズキを頭に釣られてます!! |
![]() |
日 付 | 11月24日 |
|---|---|
お名前 |
|
大きな42cmのクロを頭に釣られてます!! 大きなイサキも釣られてます!! |
![]() |
日 付 | 11月23日 |
|---|---|
お名前 |
|
大きな40cmのクロを頭に釣られてます!! |
![]() |
日 付 | 11月23日 |
|---|---|
お名前 |
|
大きな44cmのクロを頭に釣られてます!! |
![]() |
日 付 | 11月23日 |
|---|---|
お名前 |
|
大きな44cmのクロを頭に沢山釣られてます!! |
![]() |
日 付 | 11月23日 |
|---|---|
お名前 |
|
大きな42cmのクロを頭に釣られてます!! |
![]() |
日 付 | 11月23日 |
|---|---|
お名前 |
|
大きな45cmのクロを頭に沢山釣られてます!! |
![]() |
日 付 | 11月23日 |
|---|---|
お名前 |
|
大きな43cmのクロを頭に沢山釣られてます!! エメズも釣られてます!! |
![]() |
日 付 | 11月23日 |
|---|---|
お名前 |
|
大きな42cmのクロを頭に沢山釣られてます!! |
![]() |
日 付 | 11月23日 |
|---|---|
お名前 |
|
大きな44cmのクロを頭に沢山釣られてます!! |
![]() |
日 付 | 11月23日 |
|---|---|
お名前 |
|
大きな42cmのオナガを頭に沢山釣られてます!! |
![]() |
日 付 | 11月23日 |
|---|---|
お名前 |
|
大きな43cmのクロを頭に釣られてます!! 大きなアカハタとキジハタも沢山釣られてます!! ビニール袋にイカも数杯入ってます!! |
![]() |
日 付 | 11月22日 |
|---|---|
お名前 |
|
大きな43cmのクロを頭に沢山釣られてます!! |
![]() |
日 付 | 11月22日 |
|---|---|
お名前 |
|
大きな44cmのクロを頭に釣られてます!! |
![]() |
日 付 | 11月22日 |
|---|---|
お名前 |
|
大きな45cmのクロを頭に釣られてます!! |
![]() |
日 付 | 11月22日 |
|---|---|
お名前 |
|
大きな44cmのクロを頭に沢山釣られてます!! |
![]() |
日 付 | 11月21日 |
|---|---|
お名前 |
|
大きな46cmのクロを頭に沢山釣られてます!! |
![]() |
日 付 | 11月21日 |
|---|---|
お名前 |
|
大きな42cmのクロを頭に釣られてます!! |
![]() |
日 付 | 11月21日 |
|---|---|
お名前 |
|
大きな42cmのクロを頭に沢山釣られてます!! |
![]() |
日 付 | 11月21日 |
|---|---|
お名前 |
|
大きな70cm前後のスズキを2本釣られてます!! もう2本掛けられてばらされたそうです。 |
![]() |
日 付 | 11月21日 |
|---|---|
お名前 |
|
大きな43cmのクロを頭にを釣られてます!! |
![]() |
日 付 | 11月21日 |
|---|---|
お名前 |
|
大きな42cmのオナガを頭に釣られてます!! 大きなアカハタも釣られてます!! |
![]() |
日 付 | 11月20日 |
|---|---|
お名前 |
|
大きなスマを釣られてます!! 大きなイかも釣られてます!! |
![]() |
日 付 | 11月20日 |
|---|---|
お名前 |
|
大きなクロを頭に沢山釣られてます!! 他はリリースされたそうです!! |
![]() |
日 付 | 11月20日 |
|---|---|
お名前 |
|
クロだけでなく、大きなイカも釣られてます!! |
![]() |
日 付 | 11月20日 |
|---|---|
お名前 |
|
大きなイサキを釣られてます!! 良型のクロも釣られてます!! 大きなイカにオオモンハタも釣られてます!! |
![]() |
日 付 | 11月17日 |
|---|---|
お名前 |
|
大きな43cmのオナガを頭に釣られてます!! 大きなイサキも釣られてます!! 大きなヒラマサも 釣られてます!! |
![]() |
日 付 | 11月12日 |
|---|---|
お名前 |
|
大きな44cmのクロを頭に沢山釣られてます!! |
![]() |
日 付 | 11月12日 |
|---|---|
お名前 |
|
大きな44cmのクロを頭に釣られてます!! |
![]() |
日 付 | 11月12日 |
|---|---|
お名前 |
|
大きな45cmのクロを頭に釣られてます!! |
![]() |
日 付 | 11月12日 |
|---|---|
お名前 |
|
大きな45cmのクロを釣られてます!! 大きなチヌも釣られてます!! |
![]() |
日 付 | 11月12日 |
|---|---|
お名前 |
|
良型のイカも釣られてます!! |
![]() |
日 付 | 11月12日 |
|---|---|
お名前 |
|
大きな46cmのクロを頭に釣られてます!! 良型のイカも釣られてます!! |
![]() |
日 付 | 11月12日 |
|---|---|
お名前 |
|
大きな44cmのクロを頭釣られてます!! 大きなヒラマサも釣られてます!! |
![]() |
日 付 | 11月12日 |
|---|---|
お名前 |
|
特大のイカを10杯釣られてます!! |
![]() |
日 付 | 11月12日 |
|---|---|
お名前 |
|
特大のメタボなイシガキダイを釣られてます!! |
![]() |
日 付 | 11月12日 |
|---|---|
お名前 |
|
大きなクロとオナガを頭に沢山釣られてます!! |
![]() |
日 付 | 11月12日 |
|---|---|
お名前 |
|
上のクロ以外にも、大きなイカを、11杯も釣られてます!! |
![]() |
日 付 | 11月12日 |
|---|---|
お名前 |
|
特大のツムグリを釣られてます!! オナガも釣られてます!! |
![]() |
日 付 | 11月12日 |
|---|---|
お名前 |
|
特大のメタボなイシダイを4枚も釣られてます!! イサキも釣られてます!! |
![]() |
日 付 | 11月12日 |
|---|---|
お名前 |
|
大きな45cmと40cmのクロを頭に釣られてます!! |
![]() |
日 付 | 11月11日 |
|---|---|
お名前 |
|
特大のスマを釣られてます!! クロにバリも釣られてます!! |
![]() |
日 付 | 11月11日 |
|---|---|
お名前 |
|
大きな44cmのクロを頭に釣られてます!! ツムグリも釣られてます!! |
![]() |
日 付 | 11月11日 |
|---|---|
お名前 |
|
大きな45cmと44cmのクロを頭に釣られてます!! |
![]() |
日 付 | 11月11日 |
|---|---|
お名前 |
|
大きな46cmのクロを頭に釣られてます!! 大きなスマも釣られてます!! |
![]() |
日 付 | 11月11日 |
|---|---|
お名前 |
|
大きな40cmのクロを頭に釣られてます!! |
![]() |
日 付 | 11月8日 |
|---|---|
お名前 |
|
メタボの大きなイシガキダイを2枚釣られてます!! 49cmの大きなクロも釣られてます!! オオモンハタも釣られてます!! |
![]() |
日 付 | 11月8日 |
|---|---|
お名前 |
|
特大のメタボなイシガキダイを4枚も釣られてます!! 特大のフエフキダイも釣られてます!! |
![]() |
日 付 | 11月8日 |
|---|---|
お名前 |
|
大きな42cmのクロを頭に釣られてます!! |
![]() |
日 付 | 11月8日 |
|---|---|
お名前 |
|
特大のイサキを釣られてます!! 良型のオナガも釣られてます!! |
![]() |
日 付 | 11月7日 |
|---|---|
お名前 |
|
大きなスマを釣られてます!! 他にもスズキなど、バラされたそうです!! |
![]() |
日 付 | 11月7日 |
|---|---|
お名前 |
|
大きな42cmのクロを頭に釣られてます!! 大きいクロが逃げたり、ばらされたりされたそうです!!、 |
![]() |
日 付 | 11月7日 |
|---|---|
お名前 |
|
大きな44cmのクロを頭に釣られてます!! |
![]() |
日 付 | 11月7日 |
|---|---|
お名前 |
|
大きな44cmのクロを頭に沢山のクロを釣られてます!! |
![]() |
日 付 | 11月7日 |
|---|---|
お名前 |
|
大きな45cmを頭に大型ばかり釣られてます!! |
![]() |
日 付 | 11月7日 |
|---|---|
お名前 |
|
大きな42cmのクロを頭に釣られてます!! |
![]() |
日 付 | 11月6日 |
|---|---|
お名前 |
|
大きなネリゴを釣られてます!! 大きなアカハタにガラカブも釣られてます!! |
![]() |
日 付 | 11月6日 |
|---|---|
お名前 |
|
スマが大きくなってました。 大きなスマを釣られてます!! 大きなアカハタも沢山釣られてます!! |
![]() |
日 付 | 11月6日 |
|---|---|
お名前 |
|
大きなスマを釣られてます!! 大きなアカハタも釣られてます!! |
![]() |
日 付 | 11月6日 |
|---|---|
お名前 |
|
特大のスズキを頭に釣られてます!! |
![]() |
日 付 | 11月5日 |
|---|---|
お名前 |
|
大きなエメズを頭に釣られてます!! 大きなキジハタも釣られてます!! |
![]() |
日 付 | 11月5日 |
|---|---|
お名前 |
|
大きなメタボのイシガキダイを釣られてます!! 大きな48cmのオモンハタを頭にも釣られてます!! |
![]() |
日 付 | 11月1日 |
|---|---|
お名前 |
|
今日は沖磯は出れなかったので、堤防だけ出ました。 強風の中、釣られてました。 大きな55cmのヒラメを釣られてます!! 綺麗なタイにイシガキダイも釣られてます!! |