![]() |
日 付 | 3月27日 |
|---|---|
お名前 |
|
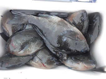
大きな39cmのクロを頭に釣られてます!! オナガが多くて大きなのばかり、ばらされたそうです!! |
![]() |
日 付 | 3月27日 |
|---|---|
お名前 |
|
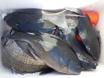
大きな40cmのメタボのクロを頭に沢山釣られてます!! 大きな40cm前後ばかりです!! |
![]() |
日 付 | 3月24日 |
|---|---|
お名前 |
|
大きな48cmのクロを頭に沢山釣られてます!! 大きなイサキも釣られてます!! スズキも釣られてます!! |
![]() |
日 付 | 3月24日 |
|---|---|
お名前 |
|
大きな1キロ超えのイカを釣られてます!! |
![]() |
日 付 | 3月23日 |
|---|---|
お名前 |
|
大きな40cm超えのクロを頭に沢山釣られてます!! 大きなイサキも3枚釣られてます!! |
![]() |
日 付 | 3月23日 |
|---|---|
お名前 |
|
大きな40cm弱のクロを頭に釣られてます!! スズキに特大のカワハギも釣られてます!! |
![]() |
日 付 | 3月23日 |
|---|---|
お名前 |
|
大きな40cm弱のクロを頭に釣られてます!! |
![]() |
日 付 | 3月22日 |
|---|---|
お名前 |
|
大きな80cm弱のブリを釣られてます!! あと2本掛けられて、残念ながらバラされたそうです!! 大きな60p弱のタイも釣られてます!! |
![]() |
日 付 | 3月22日 |
|---|---|
お名前 |
|
大きな43cmのクロを頭に釣られてます!! 特大のチヌも釣られてます!! |
![]() |
日 付 | 3月22日 |
|---|---|
お名前 |
|
大きなフエフキダイを釣られてます!! 大きなもクロも釣られてます!! |
![]() |
日 付 | 3月22日 |
|---|---|
お名前 |
|
大きな40センチ弱のクロを頭に釣られてます!! 大きなチヌも釣られてます!! |
![]() |
日 付 | 3月21日 |
|---|---|
お名前 |
|
大きな48cmのオオモンハタを釣られてます!! 大きなアカハタも釣られてます!! |
![]() |
日 付 | 3月21日 |
|---|---|
お名前 |
|
大きな70cm超えのスズキを頭に3本釣られてます!! |
![]() |
日 付 | 3月21日 |
|---|---|
お名前 |
|
大きな41cmのクロを頭に釣られてます!! チヌもオナガも釣られてます!! |
![]() |
日 付 | 3月21日 |
|---|---|
お名前 |
|
大きな41cmのクロを頭に釣られてます!! |
![]() |
日 付 | 3月21日 |
|---|---|
お名前 |
|
大きな40cmのクロを頭に沢山釣られてます!! ほとんど同型です! 沢山ばらされてたそうです!!
|
![]() |
日 付 | 3月21日 |
|---|---|
お名前 |
|
大きな40cm弱のクロを頭に沢山釣られてます!! ほとんどオナガです!! |
![]() |
日 付 | 3月21日 |
|---|---|
お名前 |
|
大きな41cmのクロを持ち帰りです!! あとはリリースです!! |
| 日 付 | 3月21日 |
|---|---|
お名前 |
|
|
![]() |
日 付 | 3月20日 |
|---|---|
お名前 |
|
大きなブリとスズキを釣られてます!! |
![]() |
日 付 | 3月20日 |
|---|---|
お名前 |
|
大きな41cmのクロを頭に釣られてます!! |
![]() |
日 付 | 3月20日 |
|---|---|
お名前 |
|
大きなウスバハギとオナガを釣られてます!! |
![]() |
日 付 | 3月20日 |
|---|---|
お名前 |
|
大きなブリを釣られてます!! |
![]() |
日 付 | 3月20日 |
|---|---|
お名前 |
|
大きな40cmのクロを頭に釣られてます!! 綺麗なタイも釣られてます!! |
![]() |
日 付 | 3月20日 |
|---|---|
お名前 |
|
大きなメタボの40cmのクロを頭に沢山釣られてます!! イサキも釣られてます!! |
![]() |
日 付 | 3月20日 |
|---|---|
お名前 |
|
大きな42cmのクロを頭に釣られてます!! 大きなイサキも釣られてます!! |
![]() |
日 付 | 3月20日 |
|---|---|
お名前 |
|
大きな45cmのクロを頭に沢山釣られてます!! 大きなオナガも釣られてます!! |
![]() |
日 付 | 3月20日 |
|---|---|
お名前 |
|
勝枝さんが大きなクロを頭に沢山釣られてます!! ブリも釣られてます!! 蓑田さんは初めての方ですが、中央の46cmの大きなクロを釣られたそうです!! |
![]() |
日 付 | 3月17日 |
|---|---|
お名前 |
|
大きな2s超えのイカを頭に釣られてます!! |
![]() |
日 付 | 3月17日 |
|---|---|
お名前 |
|
大きな40cmのクロを頭に釣られてます!! イカも釣られてます!! |
![]() |
日 付 | 3月17日 |
|---|---|
お名前 |
|
大きな42cmのクロを頭に釣られてます!! |
![]() |
日 付 | 3月17日 |
|---|---|
お名前 |
|
大きな42cmのクロとオナガを頭に釣られてます!! 沢山このサイズのオナガが釣れたそうですが、食べる分だけお持ち帰りであとはリリースです!! |
![]() |
日 付 | 3月17日 |
|---|---|
お名前 |
|
大きな39cmのクロを頭に沢山釣られてます!! スズキも釣られてます!! |
![]() |
日 付 | 3月17日 |
|---|---|
お名前 |
|
大きな39cmのクロを釣られてます!! |
![]() |
日 付 | 3月17日 |
|---|---|
お名前 |
|
大きな41cmのクロを頭に沢山釣られてます!! 大きなイサキも釣られてます!!
|
![]() |
日 付 | 3月16日 |
|---|---|
お名前 |
|
大きな40cm超えのクロを頭に満タン近く釣られてます!! |
![]() |
日 付 | 3月16日 |
|---|---|
お名前 |
|
特大のクーラーに満タン、クロを釣られてます!! 下の方に45cmも入っていて、40cm前後ばかり釣られてます!! |
![]() |
日 付 | 3月16日 |
|---|---|
お名前 |
|
大きな42cmのクロを頭に沢山釣られてます!! |
![]() |
日 付 | 3月16日 |
|---|---|
お名前 |
|
大きな64cmの桜ダイを釣られてます!! クロは大きな45cmを頭に釣られてます!! 40cm超えのクロが何枚もいますよ!! |
![]() |
日 付 | 3月16日 |
|---|---|
お名前 |
|
大きな40cmのクロを頭に沢山釣られてます!! 大きなイサキも釣られてます!! |
![]() |
日 付 | 3月16日 |
|---|---|
お名前 |
|
大きな40cmのクロを頭に沢山釣られてます!! |
![]() |
日 付 | 3月15日 |
|---|---|
お名前 |
|
大きな45cmのクロを頭に沢山釣られてます!! |
![]() |
日 付 | 3月15日 |
|---|---|
お名前 |
|
大きな40cm弱のクロを頭に沢山釣られてます!! |
![]() |
日 付 | 3月15日 |
|---|---|
お名前 |
|
大きな42cmクロを頭に大きなクロばかり釣られてます!! |
![]() |
日 付 | 3月15日 |
|---|---|
お名前 |
|
大きなブリを釣られてます!! |
![]() |
日 付 | 3月15日 |
|---|---|
お名前 |
|
大きなタイとチヌを釣られてます!! |
![]() |
日 付 | 3月15日 |
|---|---|
お名前 |
|
大きな40cm弱のクロを頭に釣られてます!! 大きなイサキも釣られてます!! |
![]() |
日 付 | 3月15日 |
|---|---|
お名前 |
|
大きな45cmのクロを頭に釣られてます!! これ以下はリリースです!! |
![]() |
日 付 | 3月15日 |
|---|---|
お名前 |
|
大きな44cmのクロを頭に40cm超えばかりお持ち帰りです!! |
![]() |
日 付 | 3月12日 |
|---|---|
お名前 |
|
大きな40cmクロを頭に釣られてます!! 大きなタイも釣られてます!! |
![]() |
日 付 | 3月12日 |
|---|---|
お名前 |
|
大きな44cmのクロを頭に沢山釣られてます!! 大きな40cm超えが多いです!! これ以下はリリースです。 12時にお帰りでしたので、夕潮までいらしたら満タンだったかも!! |
![]() |
日 付 | 3月12日 |
|---|---|
お名前 |
|
クロだけでなく、大きなイカも3杯釣られてます!! イサキも釣られてます!! |
![]() |
日 付 | 3月12日 |
|---|---|
お名前 |
|
大きな70cm弱のスズキを頭に3本釣られてます!! |
![]() |
日 付 | 3月12日 |
|---|---|
お名前 |
|
大きなタイとクロを釣られてます!! |
![]() |
日 付 | 3月12日 |
|---|---|
お名前 |
|
大きな41cmの同型のクロを頭に釣られてます!! 大きな40cmのオナガも釣られてます!! |
![]() |
日 付 | 3月11日 |
|---|---|
お名前 |
|
大きな40cm弱のクロを頭に釣られてます!! 特大のチヌも釣られてます!! |
![]() |
日 付 | 3月11日 |
|---|---|
お名前 |
|
大きな45cmのクロを頭に満タン釣られてます!! 特大のイサキも釣られてます!! |
![]() |
日 付 | 3月11日 |
|---|---|
お名前 |
|
大きな45cmのクロを頭に沢山釣られてます!! |
![]() |
日 付 | 3月11日 |
|---|---|
お名前 |
|
大きな41cmのクロを頭に沢山釣られてます!! |
![]() |
日 付 | 3月11日 |
|---|---|
お名前 |
|
大きな45cmのクロを頭に沢山釣られてます!! 大きな40cm超えのクロが5枚いますよ!! |
![]() |
日 付 | 3月11日 |
|---|---|
お名前 |
|
大きな41cmのクロを頭に沢山釣られてます!! 皆大きな40cm前後ばかりです!! |
![]() |
日 付 | 3月10日 |
|---|---|
お名前 |
|
大きなタイを釣られてます!! カンパチも釣られてます!! 大きなスズキも釣られたそうですがストリンガーごといなくなってたそうです!! |
![]() |
日 付 | 3月10日 |
|---|---|
お名前 |
|
大きな41cmのクロを頭に釣られてます!! 41cmのオナガも釣られてます!! 後はリリースされたそうです!! |
![]() |
日 付 | 3月10日 |
|---|---|
お名前 |
|
大きな42cmのクロを頭に沢山釣られてます!! |
![]() |
日 付 | 3月10日 |
|---|---|
お名前 |
|
大きな41cmのクロを頭に釣られてます!! 大きなチヌも釣られてます!! |
![]() |
日 付 | 3月10日 |
|---|---|
お名前 |
|
大きな42cmのクロを頭に沢山釣られてます!! |
![]() |
日 付 | 3月9日 |
|---|---|
お名前 |
|
風が強まり昼過ぎには回収でした。 石橋さんの釣果です!! 大きなオナガを頭に沢山釣られてます!! ほとんどオナガです!! イサキも釣られてます!! |
![]() |
日 付 | 3月9日 |
|---|---|
お名前 |
|
大きな40cm超えのクロを頭に釣られてます!! |
![]() |
日 付 | 3月9日 |
|---|---|
お名前 |
|
大きな44cmのクロを頭に釣られてます!! 40cm超えばかり釣られてます!! |
![]() |
日 付 | 3月8日 |
|---|---|
お名前 |
|
特大のイカを釣られてます!! 大きなタイも釣られてます!! クロも釣られてます!! |
![]() |
日 付 | 3月8日 |
|---|---|
お名前 |
|
大きなブリを胴体ばかりにしてお持ち帰りです!! 沢山ブリがいたそうです!! |
![]() |
日 付 | 3月8日 |
|---|---|
お名前 |
|
大きな45cmのクロを頭に沢山釣られてます!! 大きなイサキも12枚釣られてます!! |
![]() |
日 付 | 3月8日 |
|---|---|
お名前 |
|
大きな40超えのクロを頭に釣られてます!! 食べる分だけお持ち帰りです!! |
![]() |
日 付 | 3月8日 |
|---|---|
お名前 |
|
大きな40cm超えのオナガを頭に釣られてます!! 綺麗なタイ も2枚釣られてます!! |
![]() |
日 付 | 3月8日 |
|---|---|
お名前 |
|
大きな80cmのスズキを頭に3本釣られてます!! これより大きいのをバラされたそうです!! |
![]() |
日 付 | 3月8日 |
|---|---|
お名前 |
|
大きな45cmのクロを頭に釣られてます!! 食べる分だけお持ち帰りです!! |
![]() |
日 付 | 3月8日 |
|---|---|
お名前 |
|
大きな45、5cmのクロを頭に釣られてます!! イサキも釣られてます!! |
![]() |
日 付 | 3月8日 |
|---|---|
お名前 |
|
大きな45cmのクロを頭に大型ばかり満タン近く釣られてます!! |
![]() |
日 付 | 3月8日 |
|---|---|
お名前 |
|
大きなオナガを頭に釣られてます!! 食べる分だけ持ち帰りです!! 大きなイサキも釣られてます!! |
![]() |
日 付 | 3月8日 |
|---|---|
お名前 |
|
大きな40cm弱のクロを頭に釣られてます!! |
![]() |
日 付 | 3月8日 |
|---|---|
お名前 |
|
大きな49cmのクロを頭に釣られてます!! 大型ばかり釣られてます!! |
![]() |
日 付 | 3月8日 |
|---|---|
お名前 |
|
大きな44cmのクロを頭に沢山釣られてます!! |
![]() |
日 付 | 3月5日 |
|---|---|
お名前 |
|
大きな80cm超えのスズキを頭に8本釣られてます!! |
![]() |
日 付 | 3月5日 |
|---|---|
お名前 |
|
大きな45cmのクロを頭にクーラー満タン釣られてます!! |
![]() |
日 付 | 3月5日 |
|---|---|
お名前 |
|
大きな40cmのクロを頭に沢山釣られてます!! |
![]() |
日 付 | 3月5日 |
|---|---|
お名前 |
|
大きな41cmのクロを頭に沢山釣られてます!! |
![]() |
日 付 | 3月5日 |
|---|---|
お名前 |
|
大きな42cmのクロを頭に沢山釣られてます!! |
![]() |
日 付 | 3月5日 |
|---|---|
お名前 |
|
大きな44cmのクロを頭にクーラー満タン近く釣られてます!! |
![]() |
日 付 | 3月5日 |
|---|---|
お名前 |
|
大きな43cmのクロを頭にクーラー満タン釣られてます!! |
![]() |
日 付 | 3月5日 |
|---|---|
お名前 |
|
大きな46cmのクロを頭に大型ばかり沢山釣られてます!! |
![]() |
日 付 | 3月4日 |
|---|---|
お名前 |
|
大きな49cmのクロを釣られてます!! 藤本さんが食べられないので1枚だけお持ち帰りで、後はリリスです!! お昼にはお帰りでした!! |
![]() |
日 付 | 3月4日 |
|---|---|
お名前 |
|
大きな41cmのクロを頭にほとんど同型をばかりです!! 後はリリースです!! |
![]() |
日 付 | 3月2日 |
|---|---|
お名前 |
|
大きな42cmのクロを頭に釣られてます!! 風と雨でお昼にはお帰りでした。 |
![]() |
日 付 | 3月2日 |
|---|---|
お名前 |
|
大きな43cmのクロを頭に釣られてます!! 大きなイサキも釣られてます!! |
![]() |
日 付 | 3月2日 |
|---|---|
お名前 |
|
大きな40cm前後のクロを釣られてます!! |
![]() |
日 付 | 3月1日 |
|---|---|
お名前 |
|
大きな43cmのクロを頭にクーラー満タン釣られてます!! |
![]() |
日 付 | 3月1日 |
|---|---|
お名前 |
|
大きな46cmのクロを頭に沢山釣られてます!! |
![]() |
日 付 | 3月1日 |
|---|---|
お名前 |
|
大きなクロをクーラーに入りきれずにバッカンにも活かされてます!! |
![]() |
日 付 | 3月1日 |
|---|---|
お名前 |
|
大きな43cmのクロを頭に同型ばかりお持ち帰りです!! |
![]() |
日 付 | 3月1日 |
|---|---|
お名前 |
|
大きな47cmのクロを頭に沢山釣られてます!! |
![]() |
日 付 | 3月1日 |
|---|---|
お名前 |
|
釣り旅行にいらっしゃいました。 大きな43cmのクロを頭にほとんど同型ばかり釣られてます!! お上手です!! |
![]() |
日 付 | 3月1日 |
|---|---|
お名前 |
|
大きな43cmのクロを頭に沢山釣られてます!! |
![]() |
日 付 | 3月1日 |
|---|---|
お名前 |
|
大きな45mのクロを頭にクーラー満タン釣られてます!! |
![]() |
日 付 | 3月1日 |
|---|---|
お名前 |
|
大きな43cmのクロを頭にクーラー満タン釣られてます!! |
![]() |
日 付 | 3月1日 |
|---|---|
お名前 |
|
大きな43cmのクロを頭にクーラー満タン釣られてます!! 大きな型ぞろいです!! |
![]() |
日 付 | 3月1日 |
|---|---|
お名前 |
|
大きな46mのクロを頭に大型ばかり釣られてます!! |